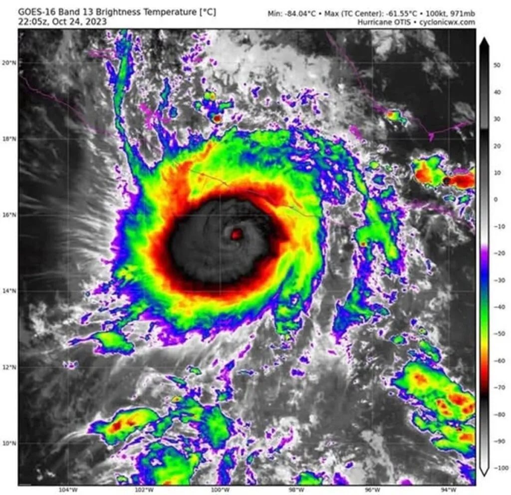
El Consejo Estatal de Gestión Integral de Riesgos y Protección Civil de Guerrero instaló una sesión permanente desde donde se detalló que la temperatura del mar ya se rebasó y esto acelera la formación de huracanes, tal y como ocurrió con “Otis” en 2023.
Asimismo, las autoridades prevén la formación de ciclones muy violentos en el Atlántico y que podrían afectar a la entidad.
En la sesión estuvieron representantes del Ejército, la Secretaría de Marina, la Guardia Nacional, alcaldes y la gobernadora de Guerrero, Evelyn Salgado, quien adelantó que se están alistando los refugios para en caso de ser necesario dar aviso a la población ante alguna emergencia y puedan trasladarse a éstos.
El meteorólogo Fermín Damián Adame informó que 2025 es la cúspide de mayor actividad solar y que significa que a mayor temperatura existe mayor energía disponible para alimentar ciclones con vientos más intensos.
“Vamos a tener un año con sistemas muy violentos y temperaturas que rebasa todos los récords”, expresó en conferencia de prensa.
El especialista explicó que hay un periodo neutral con tendencia a comportamiento del fenómeno de “La Niña” que provoca una cantidad de ciclones que se originan en el océano Atlántico por arriba del promedio y que ya está “muy por arriba” de la temperatura superficial de 26.5 grados centígrados; óptima para la formación de ciclones en profundidades de entre 15 y 30 metros.
En Guerrero se tienen registros de 28 grados centígrados, que son condiciones muy parecidas a cuando se registró “Otis” en octubre del 2023, por lo que prevén un riesgo acelerado en esta temporada.
Asimismo, hay un sistema de alta presión de las Islas Azores que podría ocasionar que los ciclones atraviesen del Atlántico, atraviesen hacia Centroamérica y se adentren de nuevo en el Océano Pacífico y se dirijan hacia la entidad guerrerense.
El Servicio Meteorológico Nacional prevé para este año, 19 ciclones en el Océano Pacífico y 24 en el Océano Atlántico.
En la sesión estuvieron representantes del Ejército, la Secretaría de Marina, la Guardia Nacional, alcaldes y la gobernadora de Guerrero, Evelyn Salgado, quien adelantó que se están alistando los refugios para en caso de ser necesario dar aviso a la población ante alguna emergencia y puedan trasladarse a éstos.
El meteorólogo Fermín Damián Adame informó que 2025 es la cúspide de mayor actividad solar y que significa que a mayor temperatura existe mayor energía disponible para alimentar ciclones con vientos más intensos.
“Vamos a tener un año con sistemas muy violentos y temperaturas que rebasa todos los récords”, expresó en conferencia de prensa.
El especialista explicó que hay un periodo neutral con tendencia a comportamiento del fenómeno de “La Niña” que provoca una cantidad de ciclones que se originan en el océano Atlántico por arriba del promedio y que ya está “muy por arriba” de la temperatura superficial de 26.5 grados centígrados; óptima para la formación de ciclones en profundidades de entre 15 y 30 metros.
En Guerrero se tienen registros de 28 grados centígrados, que son condiciones muy parecidas a cuando se registró “Otis” en octubre del 2023, por lo que prevén un riesgo acelerado en esta temporada.
Asimismo, hay un sistema de alta presión de las Islas Azores que podría ocasionar que los ciclones atraviesen del Atlántico, atraviesen hacia Centroamérica y se adentren de nuevo en el Océano Pacífico y se dirijan hacia la entidad guerrerense.
El Servicio Meteorológico Nacional prevé para este año, 19 ciclones en el Océano Pacífico y 24 en el Océano Atlántico.
Con información de Expansión
TE RECOMENDAMOS LEER: que-descubrio-jane-fonda-en-la-amazonia-ecuatoriana











