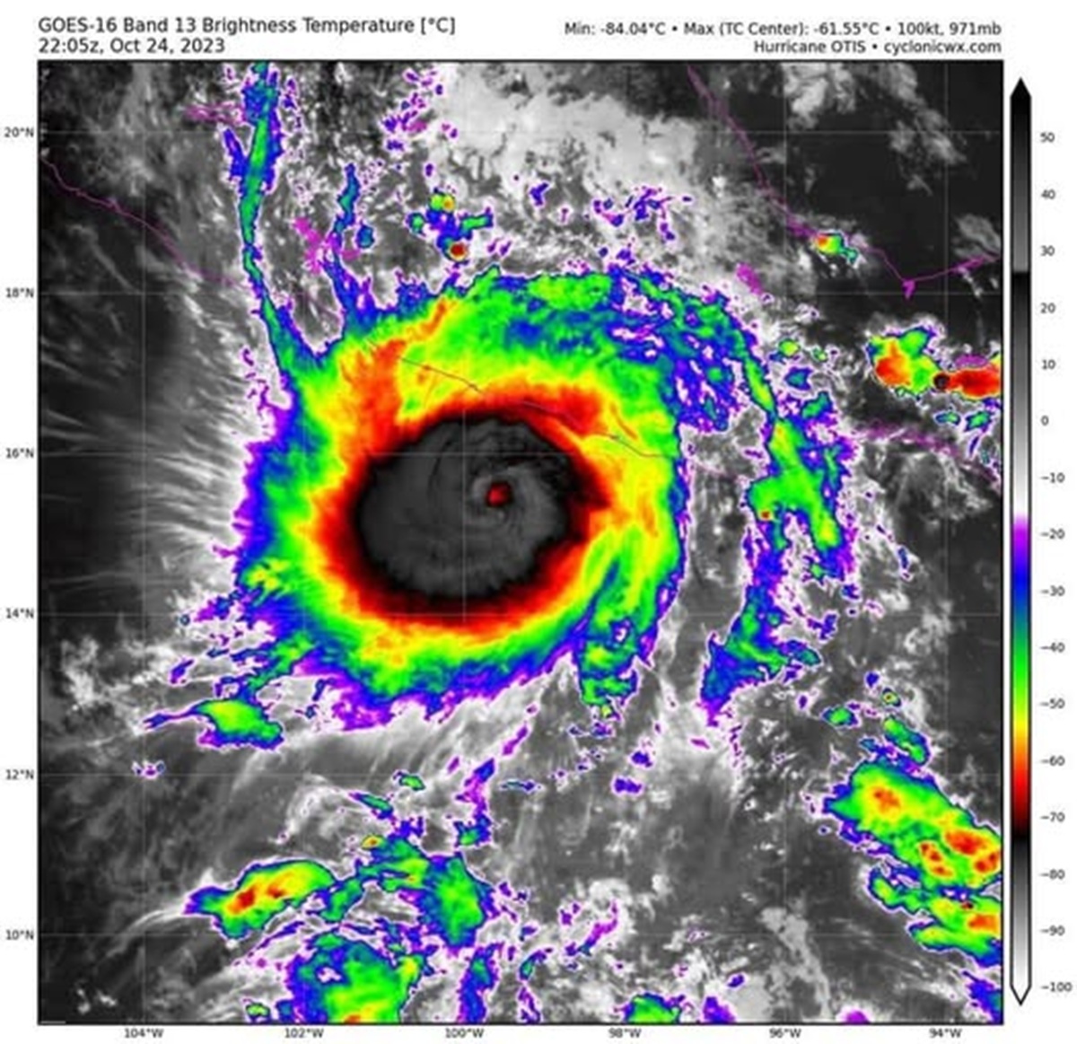
Temperatura del mar alcanza nivel similar al del huracán «Otis»

El Consejo Estatal de Gestión Integral de Riesgos y Protección Civil de Guerrero instaló una sesión permanente desde donde se detalló que la temperatura del mar ya se rebasó y esto acelera la formación de huracanes, tal y como ocurrió con “Otis” en 2023.  

Asimismo, las autoridades prevén la formación de ciclones muy violentos en el Atlántico y que podrían afectar a la entidad. 

En la sesión estuvieron representantes del Ejército, la Secretaría de Marina, la Guardia Nacional, alcaldes y la gobernadora de Guerrero, Evelyn Salgado, quien adelantó que se están alistando los refugios para en caso de ser necesario dar aviso a la población ante alguna emergencia y puedan trasladarse a éstos. 

El meteorólogo Fermín Damián Adame informó que 2025 es la cúspide de mayor actividad solar y que significa que a mayor temperatura existe mayor energía disponible para alimentar ciclones con vientos más intensos. 

“Vamos a tener un año con sistemas muy violentos y temperaturas que rebasa todos los récords”, expresó en conferencia de prensa. 

El especialista explicó que hay un periodo neutral con tendencia a comportamiento del fenómeno de “La Niña” que provoca una cantidad de ciclones que se originan en el océano Atlántico por arriba del promedio y que ya está “muy por arriba” de la temperatura superficial de 26.5 grados centígrados; óptima para la formación de ciclones en profundidades de entre 15 y 30 metros. 

En Guerrero se tienen registros de 28 grados centígrados, que son condiciones muy parecidas a cuando se registró “Otis” en octubre del 2023, por lo que prevén un riesgo acelerado en esta temporada. 

Asimismo, hay un sistema de alta presión de las Islas Azores que podría ocasionar que los ciclones atraviesen del Atlántico, atraviesen hacia Centroamérica y se adentren de nuevo en el Océano Pacífico y se dirijan hacia la entidad guerrerense. 

El Servicio Meteorológico Nacional prevé para este año, 19 ciclones en el Océano Pacífico y 24 en el Océano Atlántico. 

En la sesión estuvieron representantes del Ejército, la Secretaría de Marina, la Guardia Nacional, alcaldes y la gobernadora de Guerrero, Evelyn Salgado, quien adelantó que se están alistando los refugios para en caso de ser necesario dar aviso a la población ante alguna emergencia y puedan trasladarse a éstos. 

El meteorólogo Fermín Damián Adame informó que 2025 es la cúspide de mayor actividad solar y que significa que a mayor temperatura existe mayor energía disponible para alimentar ciclones con vientos más intensos. 

“Vamos a tener un año con sistemas muy violentos y temperaturas que rebasa todos los récords”, expresó en conferencia de prensa. 

El especialista explicó que hay un periodo neutral con tendencia a comportamiento del fenómeno de “La Niña” que provoca una cantidad de ciclones que se originan en el océano Atlántico por arriba del promedio y que ya está “muy por arriba” de la temperatura superficial de 26.5 grados centígrados; óptima para la formación de ciclones en profundidades de entre 15 y 30 metros. 

En Guerrero se tienen registros de 28 grados centígrados, que son condiciones muy parecidas a cuando se registró “Otis” en octubre del 2023, por lo que prevén un riesgo acelerado en esta temporada. 

Asimismo, hay un sistema de alta presión de las Islas Azores que podría ocasionar que los ciclones atraviesen del Atlántico, atraviesen hacia Centroamérica y se adentren de nuevo en el Océano Pacífico y se dirijan hacia la entidad guerrerense. 

El Servicio Meteorológico Nacional prevé para este año, 19 ciclones en el Océano Pacífico y 24 en el Océano Atlántico. 

Con información de Expansión 

TE RECOMENDAMOS LEER: que-descubrio-jane-fonda-en-la-amazonia-ecuatoriana

Compartir
Publicado por
reddmemp

Entradas recientes

  • Medio Ambiente

Salud activa vigilancia por hantavirus tras brote internacional

La Secretaría de Salud de México emitió un aviso epidemiológico preventivo ante el brote internacional… Leer más

12 horas hace
  • Noticias

AJEMEX fortalece cultura ambiental mediante reciclaje

La crisis de residuos se ha convertido en una de las amenazas ambientales más visibles… Leer más

12 horas hace
  • Medio Ambiente

Semarnat decidirá ¿toboganes o protección ambiental en Selva Maya?

Greenpeace México desplegó una manta sobre andamios frente al Palacio de Bellas Artes para advertir… Leer más

17 horas hace
  • Cambio climático

Prevén temporada intensa de huracanes en el Pacífico mexicano

La temporada de huracanes 2026 en México se perfila como un periodo de contrastes marcados… Leer más

17 horas hace
  • Ciencia

Científicos de la UNAM crean antibióticos con alacrán y habanero

Un grupo de investigadores de la Universidad Nacional Autónoma de México desarrolló nuevos compuestos antibióticos… Leer más

19 horas hace
  • Naturaleza

Confirman presencia en vida libre del Ajolote del Altiplano

La Comisión Nacional de Áreas Naturales Protegidas, a través del personal técnico del Área de… Leer más

2 días hace